当前位置: 首页 > 商业服务 > 服务能力
随钻跟踪与地质导向

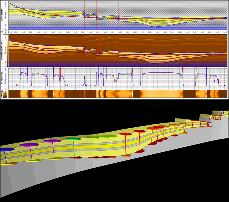
公司针对水平井钻探的需求,制定出地质模式—地震分析—导向细化的一体化工作流程,通过地质、地震及工程多专业人协同作业,在公司自有的Grid Steer随钻跟踪导向软件的技术赋能下,保障水平井精准着陆及铂金靶体的高钻遇率,业务开展以来为西南、大庆、吉林等多家油田单位提供了优质的技术服务,平均水平井A靶误差不超过5米,箱体钻遇率95%,获得甲方的技术信任。

图片2.png

地质工程一体化模式


图片1.png

地质导向精细建模